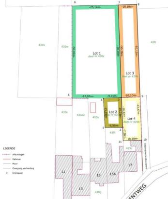
Het OCMW Diksmuide gaat over tot de verkoop van gronden gelegen aan de Gentweg in Vladslo, kadastraal gekend als Diksmuide 7de afdeling, sectie C perceelnummers 429b en 430z, afgebeeld op het plan als:
- Lot 1: deel van perceel 430z met een oppervlakte van 1.310 m²
- Lot 2: deel van perceel 430z met een oppervlakte van 156 m²
- Lot 3: deel van perceel 429b met een oppervlakte van 507 m²
- Lot 4: deel van perceel 429b met een oppervlakte van 237 m²
Volgens het gewestplan Diksmuide-Torhout, goedgekeurd (KB 05/02/1979) liggen de vier percelen in agrarisch gebied. Onderaan deze pagina vind je verschillende downloads met meer informatie over de percelen.
Verkoopprocedure
Lot 1 en lot 3 worden gezamenlijk verkocht en vormen één bieding. Daarnaast kunnen ook afzonderlijke biedingen worden uitgebracht op lot 2 en lot 4.
Geïnteresseerden kunnen tegen uiterlijk 12 september 2025 om 10 uur een schriftelijk bod indienen onder een definitief gesloten ondoorzichtige omslag, waarop vermeld staat: ‘Bod aankoop grond Gentweg’. Dit bod wordt aangetekend verzonden of persoonlijk afgegeven.
Bij verzending wordt de definitief gesloten omslag in een tweede gesloten omslag gestoken met duidelijke vermelding van ‘BOD AANKOOP GROND GENTWEG’ op de voorzijde, en ‘OMSLAG NIET OPENEN – BIEDING ONDER GESLOTEN OMSLAG’, zowel op de voor- als achterzijde. De biedingsformulieren vind je bij de downloads.
Voorwaarden bod
- Het bod moet worden ingediend via het biedingsformulier (zie bijlage 1, 2 en 3)
- Het bod bedraagt minimaal de instelprijs, enkel niet-afgeronde biedingen tot 2 cijfers na de komma worden aanvaard:
- Lot 1 + lot 3= € 16.353,00
- Lot 2= € 11.544,00
- Lot 4= € 17.538,00
- De bieder vermeldt al z’n contactgegevens (naam, adres, telefoonnummer, e-mailadres).
- Het bod is gedagtekend (datum ondertekening) en ondertekend.
- Prijsafspraken leiden automatisch tot de onontvankelijkheid van alle betrokken biedingen. Van verboden prijsafspraken is bijvoorbeeld sprake als meerdere rechts- of natuurlijke personen, al dan niet vennootschapsrechterlijk of familiaal verbonden, in de eerste ronde hun prijzen onderling afstemmen om zo de werkelijke mededinging in de tweede ronde te vermijden.
- Het bod mag geen opschortende en/of ontbindende voorwaarde bevatten.
- Het bod moet worden uitgebracht in de munteenheid euro en moet een concreet bedrag inhouden, met andere woorden, een bod dat wordt gekoppeld aan een ander bod is ongeldig (bijvoorbeeld: ‘500 euro meer dan het hoogste bod’).
- Het bod moet worden opgesteld in het Nederlands.
- Geef de bieding onder gesloten ondoorzichtige omslag af tegen ontvangstbewijs aan het onthaal van het Sociaal Huis tijdens de openingsuren of stuur de bieding op via aangetekende zending.
- De verantwoordelijkheid voor het afleveren van de omslag ligt volledig bij de inschrijver, laattijdige afgifte of ontvangst leidt tot ongeldigheid van het bod.
- Door het indienen van een bod gaat de kandidaat-koper akkoord met de procedure en de opgenomen regels en voorwaarden.
- Het bod wordt geadresseerd aan ‘OCMW Diksmuide, IJzerheemplein 4, 8600 Diksmuide’ en moet de overheid bereiken tegen uiterlijk 12/09/2025 om 10 uur, hetzij via aangetekende zending, hetzij door afgifte op bovenvermeld adres.
- Het bod dat door de kandidaat-koper uitgebracht wordt, is bindend en definitief.
- De omslagen met de biedingen worden op de zitting van het vast bureau van 16 september 2025 geopend.
Tweede biedingsronde
Indien meerdere geldige biedingen worden uitgebracht in de eerste biedingsronde, dan zal er een tweede biedingsronde worden georganiseerd waarbij:
- Enkel de drie (3) hoogste bieders uit de eerste biedingsronde worden uitgenodigd om een tweede en definitief verbeterd bod uit te brengen, waarbij enkel niet-afgeronde biedingen tot twee cijfers na de komma zijn toegelaten. Bieders worden tevens op de hoogte gebracht van het hoogste bod uit de eerste biedingsronde.
- Het verbeterd bod wordt ondertekend en in een gesloten ondoorzichtige omslag ingediend, met vermelding ‘Bod aankoop grond Gentweg’ uiterlijk op 26/09/2025 om 10 uur, volgens de modaliteiten van bezorging/verzending die hierboven werden geschetst.
- De omslagen worden tijdens de zitting van het vast bureau van 30/09/2025 geopend.
- Als in de tweede biedingsronde geen nieuw bod wordt ingediend, wordt de verkoop toegewezen aan de hoogste bieder uit de eerste biedingsronde.
- Als in de tweede biedingsronde een nieuw hoogste bod wordt ingediend, wordt de verkoop toegewezen aan de hoogste bieder uit de tweede ronde.
- Als twee of meerdere kandidaat-kopers hetzelfde hoogste bod indienen in de tweede ronde, worden deze bieders uitgenodigd om een nieuw hoger schriftelijk bod onder gesloten ondoorzichtige omslag uit te brengen. Deze procedure zal telkens herhaald worden tot er een uniek hoogste bod wordt ontvangen.
Eigenlijke verkoop
- Het onroerend goed wordt verkocht voor vrij, zuiver en onbelast van bezwarende in- of overschrijvingen, in de staat waarin het zich momenteel bevindt, met alle zichtbare en verborgen gebreken, met alle heersende en lijdende, zichtbare en onzichtbare, voortdurende en niet-voortdurende erfdienstbaarheden en zonder garantie qua oppervlakte.
- De goederen worden verkocht onder het stelsel der registratierechten. Alle kosten (inclusief het opmetingsplan en het schattingsverslag opgemaakt door de landmeter-expert), rechten en erelonen, met inbegrip van de btw voor de opmaak van de authentieke akte zijn ten laste van de koper, bovenop de biedingsprijs.
- Na aanvaarding van het bod zal de koper hiervan op de hoogte gebracht worden.
- De door de koper aangestelde notaris dient binnen een termijn van vier (4) maanden na kennisgeving een ontwerp van akte op te maken en dit schriftelijk te bezorgen aan het OCMW Diksmuide.
- Na goedkeuring van het ontwerp door de raad voor maatschappelijk welzijn moet de authentieke akte binnen een bijkomende termijn van twee (2) maanden verleden worden.
- In geval van niet-naleving van één of meerdere van bovenstaande termijnen behoudt de verkoper zich het recht om de verkoop eenzijdig en van rechtswege te ontbinden, zonder voorafgaande ingebrekestelling. In dat geval is de koper een forfaitaire schadevergoeding van 20% van de koopprijs verschuldigd aan de verkoper.
Neem voor bijkomende inlichtingen contact op met de dienst Patrimonium (patrimonium@diksmuide.be)
Deze procedure en alle bijlagen zijn met de grootst mogelijke zorgvuldigheid samengesteld. Desondanks kunnen er toch tegenstrijdigheden, onvolledigheden en/of onjuistheden in deze stukken voorkomen. Van de kandidaat-koper wordt in dat geval een proactieve houding verwacht wanneer hij hierop stuit. Dit betekent dat de kandidaat-koper eventuele (vermeende) onduidelijkheden, on- volkomenheden, onrechtmatigheden en/of onjuistheden in de verkoopdocumenten, zo spoedig mogelijk meldt. De melding dient te gebeuren via het e-mailadres van de contactpersoon voor deze procedure.
Downloads
- Kadastrale-gegevens.pdf (41.78 KB) "pdf"
- Uittreksel-kadastraal-percelenplan.pdf (536.21 KB) "pdf"
- Overstromingsrapport_429B.pdf (391.46 KB) "pdf"
- Overstromingsrapport_430Z.pdf (395.22 KB) "pdf"
- PerceelrapportOE_32024C0429-00B000_20250723.pdf (140.13 KB) "pdf"
- PerceelrapportOE_32024C0430-00Z000_20250723.pdf (137.5 KB) "pdf"
- Varia_percelen.pdf (749.33 KB) "pdf"
- Biedingsformulier-lot-1-3.pdf (81.99 KB) "pdf"
- Biedingsformulier-lot-2.pdf (80.66 KB) "pdf"
- Biedingsformulier-lot-4.pdf (81.07 KB) "pdf"
- Vastgoedinformatie-perceel-429b.pdf (396.18 KB) "pdf"
- Vastgoedinformatie-430z.pdf (396.38 KB) "pdf"
- Bodemattest perceelnummer 430C (90.89 KB) "pdf"
- Bodemattest perceelnummer 429B (89.89 KB) "pdf"